NÖE

Építészet, Kiviteli tervezés
Budapest V.
Megépült – 2020
ZED
ZED

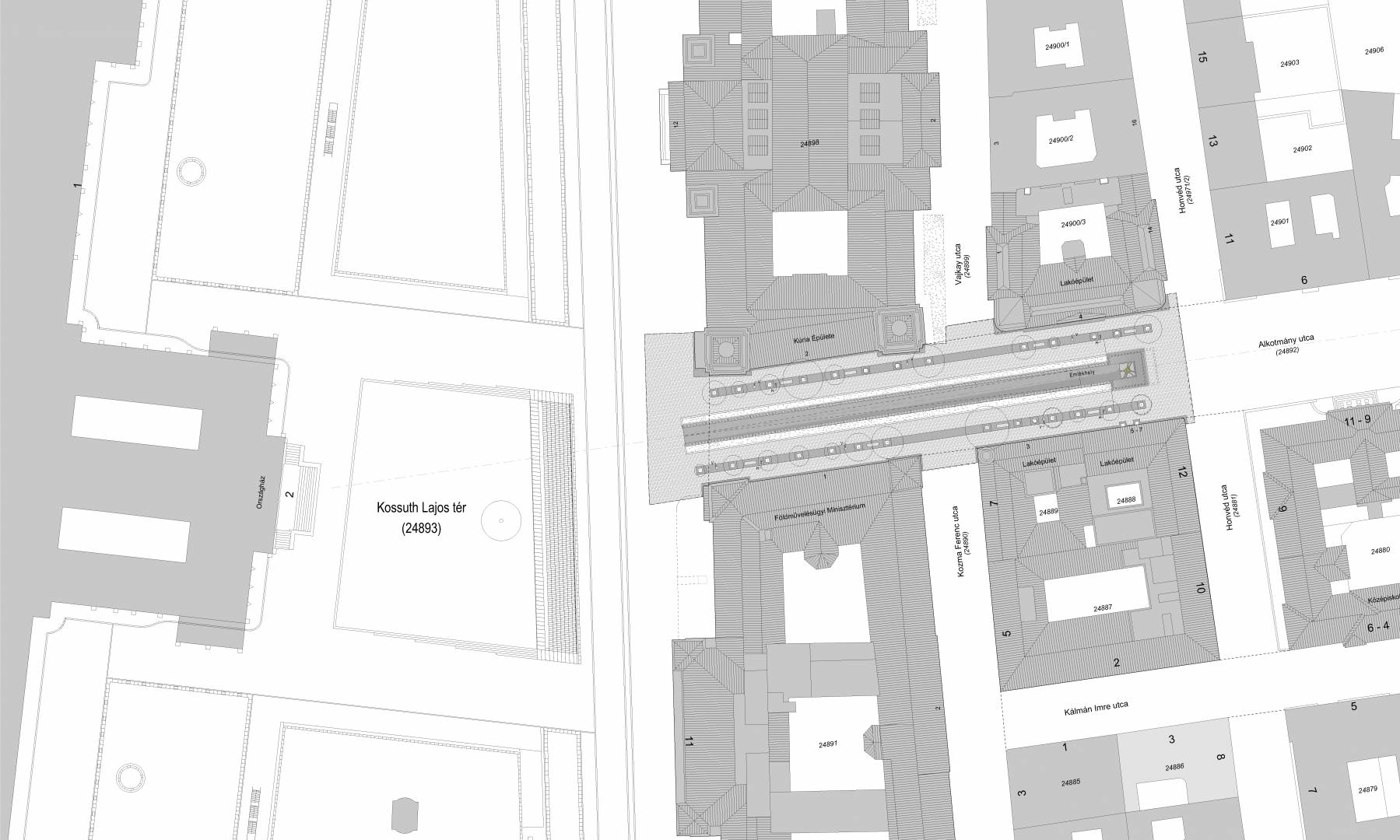
Nemzeti Összetartozás Emlékhely

A Nemzeti Összetartozás Emlékhely a trianoni békediktátum 100. évfordulójára készül az Országház közelében, az Alkotmány utca Kossuth téri torkolatában.